Hyundai Sonata 2014
VII покоління
11 000 $ • 467 940 грн •

UA, Київська обл., Вишгород, 07301
5NPE34AF1FH148502
Був в ДТП
Пригнано з США
Доступний кредит
Перевірено AUTO.RIA за офіційними відкритими державними даними
Інформація про перевірку є дійсною станом на 07.12.2025 року та отримана з офіційних відкритих державних даних 07.12.2025 року
Опис від продавця
Седан
Покоління, комплектація, модифікація
VII покоління
Двигун
Бензин, 2.36 л, (188 к.с. / 138 кВт)
Екологічний стандарт
Євро-5
Коробка передач
Автомат
Перевірено AUTO.RIA по VIN-коду
5NPE34AF1FH148502
Застави, оренди, обтяженняПеревірено 5 січня 2026
Тип обтяження
не виявлено
Обмеження відчуження
дозволено відчужувати
Страхові випадкиПеревірено 5 січня 2026
Наявність страхового випадку
Не виявлено
Пробіг і ДТППеревірено 7 квітня 2025
Дані зі страхових аукціонів Copart та IAAI
Робот-інспектор перевірив та знайшов дані по цьому VIN-коду на інших сайтах
07.12.25
Продається на AUTO.RIA
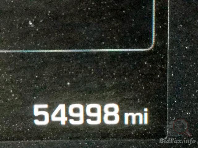
Продавець вказав пробіг 132 тис. км
10.08.23
Перереєстрація ТЗ при видачі індивідуального номерного знаку
2-ий власник
31.03.21
Перереєстрація на нового власника за дог. купiвлi-продажу (СГ)
26.03.21
Продавалось на AUTO.RIA
Продавець вказав пробіг 91 тис. км
1-ий власник
16.03.21
Реєстрація ТЗ привезеного з-за кордону по посвідченню митниці
Дізнайтесь більше про авто
Розширена історія авто в Україні, країнах Європи, США та Південній КореїПеревірки “VIN+” та “VIN MAX”
Історія пробігу
Арешти
ДТП
Ремонти у офіц. дилера
Страхові випадки

Замов розширену перевірку історії авто в США та КанадіНа основі звітів Carfax
Історія пробігу
Історія реєстрацій
Страхові випадки
ДТП
Угони
Арешти
Інші обтяження
Ремонти у офіц. дилера
Використання в таксі

Технічна перевірка на СТОЗвіт про технічний стан по 27 параметрам від Сертифікованого центру перевірки AUTO.RIA
Стан кузова
Технічний стан
Стан салону
Тестова поїздка

Знаєте більше про це авто?
Напишіть коментар, і ми перевіримо, щоб все було чесно
Оголошення створене 07.12.2025
Переглядів авто 118
Додано в Обране 13
ID авто 38120305
Оформити розстрочку на Hyundai Sonata 2014
Ти можеш дозволити собі більше. Купуй авто вже зараз!
10 988 грн на місяць • протягом 5 років
Hyundai Sonata 2014
VII покоління
11 000 $ • 467 940 грн
Розширена історія авто
Доступна перевірка • від 85 грн
5+ років працює з AUTO.RIA
Схожі оголошення
Оцініть, як вам нова сторінка пропозиції?
Наскільки зручні і зрозумілі ці оновлення для вас?
Відгуки Hyundai Sonata 2014
Модельний ряд Hyundai на AUTO.RIA
З Hyundai також шукають
AUTO.RIA безпечний для вас
Ми використовуємо cookie-файли. Ознайомитись з Політикою використання файлів cookies


















































































