Mercedes-Benz E-Class 1999
S210 (FL) • 270D AT (170 к.с.) • Base
4 800 $ • 199 248 грн •
UA, Черкасская обл., Черкассы, 18000
BI 1041 IM
WDB2102061A902473
Пригнан из Италии
Доступный кредит
Проверено 25 сентября 2025
Інформація про перевірку є дійсною станом на 25.09.2025 року та отримана з відкритих реєстрів МВС 25.09.2025 року
Описание от продавца
Универсал • 5 дверей
Поколение, комплектация, модификация
S210 (FL), 270D AT (170 к.с.)
Двигатель
Дизель, 2.7 л, (170 к.с. / 125 кВт)
Коробка передач
Автомат
Привод
Задний
Цвет
Синий металлик
Расход топлива (л/100км)
город 8.5 • трасса 6 • смешанный 7
Фары
Галогенные
Материалы салона
Кожа
Проверено AUTO.RIA по VIN-коду
WDB2102061A902473
Залоги, аренды, обремененияПроверено 10 октября 2025
Тип обременения
не обнаружено
Ограничение отчуждения
разрешено отчуждать
Страховые случаиПроверено 10 октября 2025
Наличие страхового случая
Не обнаружено
25.09.25
Продается на AUTO.RIA
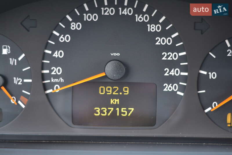
Продавец указал пробег 337 тыс. км
4-ий владелец
13.01.24
Перереєстрація ТЗ на нов. власн. по договору укладеному в ТСЦ
16.01.23
Продано с помощью AUTO.RIA
Продавец указал пробег 319 тыс. км
18.11.22
Продано с помощью AUTO.RIA
Продавец указал пробег 318 тыс. км
3-ій владелец
08.07.21
Перереєстрація ТЗ на нов. власн. по договору укладеному в ТСЦ
2-ий владелец
15.07.17
Вторинна реєстрація ТЗ по договору укладеному в ТСЦ
11.07.17
Зняття з обліку ТЗ (договір укладений в ТСЦ
1-ий владелец
01.11.11
Вторинна реєстрація ТЗ, придбаного в торговельній організації
Оцените, насколько полезна для вас история авто
Узнайте больше об авто
Расширенная история авто в Украине, странах Европы, США и Южной КорееПроверки “VIN+” и “VIN MAX”
История пробега
Аресты
ДТП
Ремонты у офиц. дилера
Страховые случаи

Техническая проверка на СТООтчет о техническом состоянии по 27 параметрам сертифицированного центра проверки AUTO.RIA
Состояние кузова
Техническое состояние
Состояние салона
Тестовая поездка

Знаете больше об этом авто?
Напишите комментарий, и мы проверим, чтобы все было честно
Объявление создано 25.09.2025
Просмотров авто 797
Добавлений в Избранное 48
ID авто 36530731
Оформить рассрочку на Mercedes-Benz E-Class 1999
Ты можешь позволить себе больше. Покупай авто уже сейчас!
5 301 грн в месяц • в течение 5 лет
Mercedes-Benz E-Class 1999
S210 (FL) • 270D AT (170 к.с.) • Base
4 800 $ • 199 248 грн
Расширенная история авто
Доступная проверка • от 550 грн
2 года 4 месяца работает с AUTO.RIA
Похожие объявления
Оцените как вам новая страница предложения?
Насколько удобны и ясны эти обновления для вас?
Отзывы Mercedes-Benz E-Class 1999
Модельный ряд Mercedes-Benz на AUTO.RIA
С Mercedes-Benz также ищут
AUTO.RIA безопасен для вас
Мы используем cookie-файлы. Ознакомиться с Политикой использования файлов cookies