Chevrolet Camaro 2017
VI покоління
20 000 $ • 851 200 грн •

UA, Київська обл., Київ, 10010
KA 4818 EI
1G1FB1RS5J0144135
Тільки на AUTO.RIA
Був в ДТП
Пригнано з США
Доступний кредит
Перевірено AUTO.RIA за офіційними відкритими державними даними
Інформація про перевірку є дійсною станом на 15.12.2025 року та отримана з офіційних відкритих державних даних 15.12.2025 року
Опис від продавця
Купе
Покоління, комплектація, модифікація
VI покоління
Двигун
Бензин, 3.64 л
Колір
Білий
Перевірено AUTO.RIA по VIN-коду
1G1FB1RS5J0144135
Застави, оренди, обтяженняПеревірено 5 січня 2026
Тип обтяження
не виявлено
Обмеження відчуження
дозволено відчужувати
Страхові випадкиПеревірено 5 січня 2026
Наявність страхового випадку
Не виявлено
Пробіг і ДТППеревірено 23 лютого 2024
Дані зі страхових аукціонів Copart та IAAI
Робот-інспектор перевірив та знайшов дані по цьому VIN-коду на інших сайтах
15.12.25
Продається на AUTO.RIA
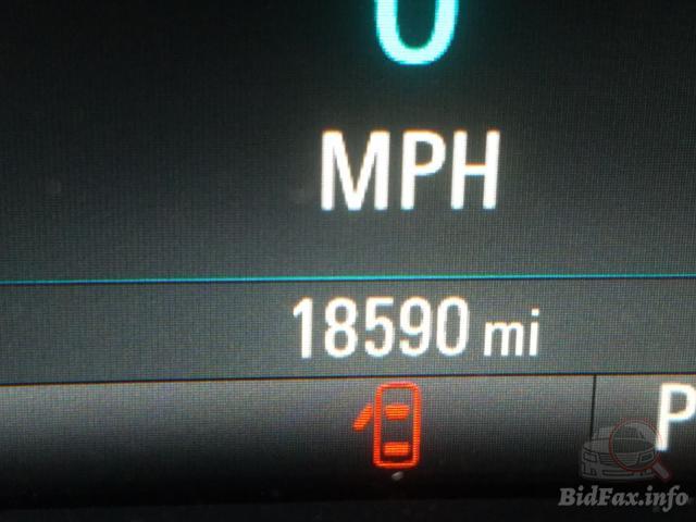
Продавець вказав пробіг 50 тис. км
3-ій власник
21.08.21
Перереєстрація на нового власника за дог. купiвлi-продажу (СГ)
2-ий власник
07.04.21
Перереєстрація на нового власника за дог. купiвлi-продажу (СГ)
1-ий власник
11.08.20
Реєстрація ТЗ привезеного з-за кордону по посвідченню митниці
17.02.20
Зафіксовано пробіг 29 тис. км
Джерело фіксації — архівні дані з офіційного аукціону Copart в США
2019 рік
Зафіксовано ДТП
ДТП на території США в 2019 році із пошкодженням лівої сторони та задньої частини кузова
Фото пошкоджень
Дізнайтесь більше про авто
Розширена історія авто в Україні, країнах Європи, США та Південній КореїПеревірки “VIN+” та “VIN MAX”
Історія пробігу
Арешти
ДТП
Ремонти у офіц. дилера
Страхові випадки

Замов розширену перевірку історії авто в США та КанадіНа основі звітів Carfax
Історія пробігу
Історія реєстрацій
Страхові випадки
ДТП
Угони
Арешти
Інші обтяження
Ремонти у офіц. дилера
Використання в таксі

Технічна перевірка на СТОЗвіт про технічний стан по 27 параметрам від Сертифікованого центру перевірки AUTO.RIA
Стан кузова
Технічний стан
Стан салону
Тестова поїздка

Знаєте більше про це авто?
Напишіть коментар, і ми перевіримо, щоб все було чесно
Оголошення створене 15.12.2025
Переглядів авто 305
Додано в Обране 7
ID авто 36106730
Оформити розстрочку на Chevrolet Camaro 2017
Ти можеш дозволити собі більше. Купуй авто вже зараз!
20 737 грн на місяць • протягом 5 років
Chevrolet Camaro 2017
VI покоління
20 000 $ • 851 200 грн
Розширена історія авто
Доступна перевірка • від 85 грн
1 рік 10 місяців працює з AUTO.RIA
Схожі оголошення
Оцініть, як вам нова сторінка пропозиції?
Наскільки зручні і зрозумілі ці оновлення для вас?
Відгуки Chevrolet Camaro 2017
Відгуки Chevrolet Camaro 2017
- 4.7 • Надійність
- 4.0 • Ціна
- 5.0 • Дизайн
- 5.0 • Керування
- 4.0 • Комфорт
Модельний ряд Chevrolet на AUTO.RIA
З Chevrolet також шукають
AUTO.RIA безпечний для вас
Ми використовуємо cookie-файли. Ознайомитись з Політикою використання файлів cookies





















































