Infiniti QX30 2016
I поколение
20 250 $ • 866 093 грн •

UA, Черновицкая обл., Черновцы, 58000
CE 3043 CX
SJKCH5CP7HA018414
Только на AUTO.RIA
Был в ДТП
Пригнан из США
Первая регистрация
Торг
Обмен
Доступный кредит
Проверено AUTO.RIA по официальным открытым государственным данным
Інформація про перевірку є дійсною станом на 05.01.2026 року та отримана з офіційних відкритих державних даних 05.01.2026 року
Описание от продавца
Внедорожник / Кроссовер • 4 дверей
Поколение, комплектация, модификация
I поколение
Двигатель
Бензин, 2 л
Коробка передач
Автомат
Привод
Передний
Проверено AUTO.RIA по VIN-коду
SJKCH5CP7HA018414
Залоги, аренды, обремененияПроверено 6 января 2026
Тип обременения
не обнаружено
Ограничение отчуждения
разрешено отчуждать
Страховые случаиПроверено 6 января 2026
Наличие страхового случая
Не обнаружено
Пробег и ДТППроверено 20 августа 2021
Данные по страховым аукционам Copart и IAAI
Робот-инспектор проверил и нашел данные по этому VIN-коду на других сайтах
05.01.26
Продается на AUTO.RIA
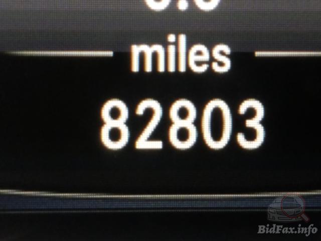
Продавец указал пробег 152 тыс. км
1-ий владелец
08.04.21
Реєстрація ТЗ привезеного з-за кордону по посвідченню митниці
07.01.21
Зафиксирован пробег 133 тыс. км
Источник фиксации — архивные данные с официального аукциона Copart в США
20.01.26
Зафиксировано ДТП
ДТП на території США в 2021 році із пошкодженням даху
Узнайте больше об авто
Расширенная история авто в Украине, странах Европы, США и Южной КорееПроверки “VIN+” и “VIN MAX”
История пробега
Аресты
ДТП
Ремонты у офиц. дилера
Страховые случаи

Закажи расширенную проверку истории авто в США и КанадеНа основе отчетов Carfax
История пробега
История регистраций
Страховые случаи
ДТП
Угоны
Аресты
Другие отягощения
Ремонты у офиц. дилера
Использование в такси

Техническая проверка на СТООтчет о техническом состоянии по 27 параметрам сертифицированного центра проверки AUTO.RIA
Состояние кузова
Техническое состояние
Состояние салона
Тестовая поездка

Знаете больше об этом авто?
Напишите комментарий, и мы проверим, чтобы все было честно
Объявление создано 05.01.2026
Просмотров авто 18
Добавлений в Избранное 0
ID авто 30854400
Оформить рассрочку на Infiniti QX30 2016
Ты можешь позволить себе больше. Покупай авто уже сейчас!
21 099 грн в месяц • в течение 5 лет
Infiniti QX30 2016
I поколение • SPORT
20 250 $ • 866 093 грн
Расширенная история авто
Доступная проверка • от 85 грн
5+ лет работает с AUTO.RIA
Похожие объявления
Оцените как вам новая страница предложения?
Насколько удобны и ясны эти обновления для вас?
Отзывы Infiniti QX30
Отзывы Infiniti QX30
- 4.5 • Надежность
- 4.5 • Цена
- 5.0 • Дизайн
- 4.5 • Управление
- 4.5 • Комфорт
Модельный ряд Infiniti на AUTO.RIA
С Infiniti также ищут
AUTO.RIA безопасен для вас
Мы используем cookie-файлы. Ознакомиться с Политикой использования файлов cookies










































































































