Toyota RAV4 2017
IV покоління (FL) • 2.5 АT (180 к.с.) 4WD
17 400 $ • 764 382 грн •

UA, Київська обл., Київ, 10010
AE 8222 KI
2T3BFREV5HW639675
Тільки на AUTO.RIA
Був у ДТП
Пригнано з США
Доступний кредит
Перевірено AUTO.RIA за офіційними відкритими державними даними
Інформація про перевірку є дійсною станом на 02.04.2026 року та отримана з офіційних відкритих державних даних 02.04.2026 року
Опис від продавця
Позашляховик / Кросовер • 5 дверей • 5 місць
Покоління, комплектація, модифікація
IV покоління (FL), 2.5 АT (180 к.с.) 4WD
Двигун
Бензин, 2.49 л
Коробка передач
Автомат
Привід
Повний
Перевірено AUTO.RIA по VIN-коду
2T3BFREV5HW639675
Застави, оренди, обтяженняПеревірено 19 квітня 2026
Тип обтяження
не виявлено
Обмеження відчуження
дозволено відчужувати
Страхові випадкиПеревірено 19 квітня 2026
Наявність страхового випадку
Не виявлено
Пробіг і ДТППеревірено 24 січня 2025
Дані зі страхових аукціонів Copart та IAAI
Робот-інспектор перевірив та знайшов дані по цьому VIN-коду на інших сайтах
02.04.26
Продається на AUTO.RIA
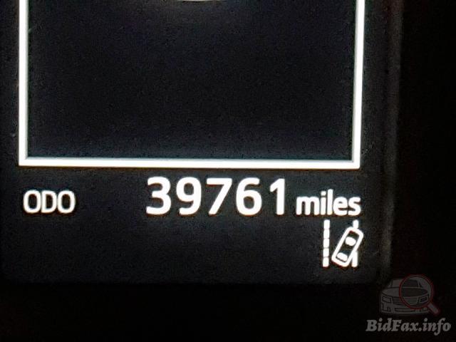
Продавець вказав пробіг 90 тис. км
2-ий власник
01.03.24
Перереєстрація на нового власника за дог. купiвлi-продажу (СГ)
04.02.24
Продавалось на AUTO.RIA
Продавець вказав пробіг 83 тис. км
1-ий власник
25.03.21
Первинна реєстрацiя Б/В ТЗ придбаного в торгівельній організації, який ввезено з-за кордону
22.03.21
Продавалось на AUTO.RIA
Продавець вказав пробіг 60 тис. км
17.03.21
Продавалось на AUTO.RIA
Продавець вказав пробіг 59 тис. км розбіжність 1 тис. км
01.03.21
Продавалось на AUTO.RIA
Продавець вказав пробіг 60 тис. км розбіжність 5 тис. км
10.01.21
Продавалось на AUTO.RIA
Продавець вказав пробіг 65 тис. км
28.04.20
Зафіксовано пробіг 63 тис. км
Джерело фіксації — архівні дані з офіційного аукціону Copart в США
2020 рік
Зафіксовано ДТП
ДТП на території США в 2020 році із пошкодженнями задньої частини кузова
Фото пошкоджень
2019 рік
Зафіксовано ДТП
ДТП на території США в 2019 році із пошкодженням передньої та задньої частини кузова
Фото пошкоджень
Дізнайтесь більше про авто
Розширена історія авто в Україні, країнах Європи, США та Південній КореїДізнайтесь, що відомо про авто у міжнародних реєстрах
Історія пробігу
ДТП та страхові випадки
Ремонти у офіц. дилера
Комплектація авто

Технічна перевірка на СТОЗвіт про технічний стан по 27 параметрам від Сертифікованого центру перевірки AUTO.RIA
Стан кузова
Технічний стан
Стан салону
Тестова поїздка

1 перевірений коментар
Авто після ДТП
Авто раніше ще 19му році було ще в одному дтп в США, з пошкодженням передньої частини https://i.imgur.com/C5mnDEn.jpeg .
Знаєте більше про це авто?
Напишіть коментар, і ми перевіримо, щоб все було чесно
Оголошення створене 02.04.2026
Переглядів авто 613
Додано в Обране 16
ID авто 37687778
Оформити розстрочку на Toyota RAV4 2017
Ти можеш дозволити собі більше. Купуй авто вже зараз!
18 808 грн на місяць • протягом 5 років
Toyota RAV4 2017
IV покоління (FL) • 2.5 АT (180 к.с.) 4WD
17 400 $ • 764 382 грн
Розширена історія авто
Доступна перевірка • від 150 грн
1 рік 3 місяці працює з AUTO.RIA
Схожі оголошення
Оцініть, як вам нова сторінка пропозиції?
Наскільки зручні і зрозумілі ці оновлення для вас?
Відгуки Toyota RAV4 2017
Модельний ряд Toyota на AUTO.RIA
З Toyota також шукають
AUTO.RIA безпечний для вас
Ми використовуємо cookie-файли. Ознайомитись з Політикою використання файлів cookies
















































