Ford Mustang 2015
VI поколение
13 900 $ • 612 851 грн •

UA, Житомирская обл., Житомир, 10000
BO 2949 EE
1FATP8UH3F5390200
Только на AUTO.RIA
Был в ДТП
Пригнан из США
Доступный кредит
Проверено AUTO.RIA по официальным открытым государственным данным
Інформація про перевірку є дійсною станом на 01.04.2026 року та отримана з офіційних відкритих державних даних 01.04.2026 року
Описание от продавца
Кабриолет • 2 дверей • 4 места
Поколение, комплектация, модификация
VI поколение
Двигатель
Бензин, 2.26 л, (315 к.с. / 232 кВт)
Коробка передач
Автомат
Привод
Задний
Проверено AUTO.RIA по VIN-коду
1FATP8UH3F5390200
Залоги, аренды, обремененияПроверено 18 апреля 2026
Тип обременения
не обнаружено
Ограничение отчуждения
разрешено отчуждать
Страховые случаиПроверено 18 апреля 2026
Наличие страхового случая
Не обнаружено
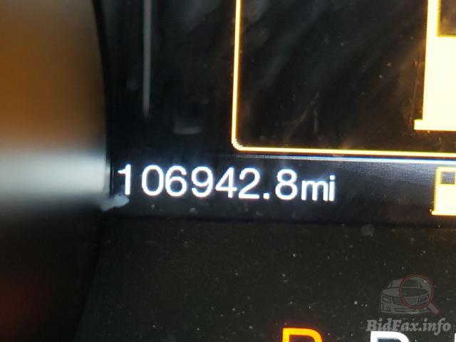
Пробег и ДТППроверено 25 июля 2025
Пробег проверено
172 тыс.км • 4 года, 4 месяца тому
последний зафиксированный от 24.11.2021 источник фиксации - архивные данные с официального аукциона Copart в США
Пробег от продавца
193 тыс.км
Данные по страховым аукционам Copart и IAAI
Робот-инспектор проверил и нашел данные по этому VIN-коду на других сайтах
01.04.26
Продается на AUTO.RIA
Продавец указал пробег 193 тыс. км
3-ій владелец
30.03.25
Перереєстрація ТЗ із укладанням договору купівлі-продажу через електронні сервіси та зовнішні ресурс
2-ий владелец
28.03.25
Перереєстрація ТЗ на нов. власн. по договору дарування укладеному в ТСЦ
16.10.24
Продавалось на AUTO.RIA
Продавец указал пробег 186 тыс. км
1-ий владелец
07.06.22
Реєстрація ТЗ привезеного з-за кордону по посвідченню митниці
24.11.21
Зафиксирован пробег 172 тыс. км расхождение 14 тыс. км
Источник фиксации — архивные данные с официального аукциона Copart в США
20.04.26
Зафиксировано ДТП
ДТП на території США в 2021 році із пошкодженнями задньої частини кузова та із незначними пошкодженнями/подряпинами
Фото повреждений
Узнайте больше об авто
Расширенная история авто в Украине, странах Европы, США и Южной КорееУзнайте, что известно об авто в международных реестрах
История пробега
ДТП и страховые случаи
Ремонты у офиц. дилера
Комплектация авто

Закажи расширенную проверку истории авто в США и КанадеНа основе отчетов Carfax
История пробега
История регистраций
Страховые случаи
ДТП
Угоны
Аресты
Другие отягощения
Ремонты у офиц. дилера
Использование в такси

Техническая проверка на СТООтчет о техническом состоянии по 27 параметрам сертифицированного центра проверки AUTO.RIA
Состояние кузова
Техническое состояние
Состояние салона
Тестовая поездка

Знаете больше об этом авто?
Напишите комментарий, и мы проверим, чтобы все было честно
Объявление создано 01.04.2026
Просмотров авто 614
Добавлений в Избранное 28
ID авто 38638040
Оформить рассрочку на Ford Mustang 2015
Ты можешь позволить себе больше. Покупай авто уже сейчас!
15 080 грн в месяц • в течение 5 лет
Ford Mustang 2015
VI поколение
13 900 $ • 612 851 грн
Расширенная история авто
Доступная проверка • от 85 грн
Другие предложения продавца
Оцените как вам новая страница предложения?
Насколько удобны и ясны эти обновления для вас?
Отзывы Ford Mustang 2015
Отзывы Ford Mustang 2015
- 4.5 • Надежность
- 5.0 • Цена
- 4.8 • Дизайн
- 4.8 • Управление
- 4.3 • Комфорт
Модельный ряд Ford на AUTO.RIA
С Ford также ищут
AUTO.RIA безопасен для вас
Мы используем cookie-файлы. Ознакомиться с Политикой использования файлов cookies









































